Ασθένειες και εχθροί μηλιάς- αχλαδιάς

Τα βλαστικά στάδια μεταξύ έναρξης βλάστησης και καρπόδεσης αποτελούν μία περίοδο ιδιαίτερης ευαισθησίας για τις καλλιέργειες των μηλοειδών, κυρίως όσον αφορά σοβαρές ασθένειες, αλλά και εντομολογικούς εχθρούς.

ΑΣΘΕΝΕΙΕΣ

ΦΟΥΖΙΚΛΑΔΙΑ

Πρόκειται για μυκητολογικές ασθένειες της αχλαδιάς και της μηλιάς, οι οποίες μπορεί να γίνουν ιδιαίτερα καταστροφικές από την έναρξη της βλάστησης μέχρι και τη συγκομιδή. Είναι ιδιαίτερα μολυσματικές όταν κατά τη βλαστική περίοδο επικρατούν βροχοπτώσεις, καθώς και σε οπωρώνες που βρίσκονται σε υγρές περιοχές. Τα πλέον συχνά και χαρακτηριστικά συμπτώματα εμφανίζονται στα φύλλα και στους καρπούς. Οι πρωτογενείς μολύνσεις αρχίζουν νωρίς, από την έναρξη της νεαρής βλάστησης και η δραστηριότητα των μυκήτων ευνοείται ιδιαίτερα με βροχερό καιρό και θερμοκρασίες μεταξύ 16 και 24ο C.

Για την αποτελεσματική προστασία της νεαρής βλάστησης από τα παθογόνα, συνιστώνται τρεις διαδοχικοί προληπτικοί ψεκασμοί, με κατάλληλα και εγκεκριμένα για τις καλλιέργειες μυκητοκτόνα:

1) όταν τα μάτια έχουν εκπτυχθεί σε μήκος περίπου 1,5 εκ.,

2) στο στάδιο της ρόδινης / λευκής κορυφής και

3) όταν έχει πέσει το 70-90% των πετάλων.

Επισημαίνεται ότι:

1) οι παραπάνω ψεκασμοί είναι ιδιαίτερα σημαντικοί, διότι περιορίζουν σημαντικά τον κίνδυνο μελλοντικών μολύνσεων,

2) εγκεκριμένα χαλκούχα σκευάσματα μπορούν με ασφάλεια να χρησιμοποιηθούν μόνο στους δύο πρώτους ψεκασμούς,

3) σε περίπτωση που επικρατούν βροχοπτώσεις κατά την περίοδο της καρπόδεσης και της ανάπτυξης των νεαρών καρπών και ανάλογα πάντα με το ιστορικό προσβολής του οπωρώνα, συστήνεται η συνέχιση των ψεκασμών όσο διαρκεί η βροχερή περίοδος και ανάλογα με τη διάρκεια δράσης των μυκητοκτόνων,

4) για την αποφυγή ανάπτυξης ανθεκτικότητας των μυκήτων συνιστάται η εναλλαγή μυκητοκτόνων από διαφορετικές χημικές ομάδες,

5) ενθαρρύνεται η χρήση των εγκεκριμένων μικροβιακών σκευασμάτων. Συμπτώματα φουζικλαδίων σε φύλλα, άνθη & καρπούς αχλαδιάς & μηλιάς

ΩΙΔΙΟ

Πρόκειται για σημαντική μυκητολογική ασθένεια κυρίως της μηλιάς. Το παθογόνο προσβάλει αποκλειστικά τους νεαρούς τρυφερούς ιστούς (φύλλα, βλαστοί, άνθη, καρποί) καθ’όλη την περίοδο της ετήσιας βλάστησης, προκαλώντας εξασθένηση των δένδρων και μείωση της παραγωγής και της εμπορευσιμότητας των καρπών. Σε οπωρώνες με ιστορικό προσβολής από τον μύκητα και κυρίως σε ευαίσθητες στην ασθένεια ποικιλίες, η προστασία της νεαρής βλάστησης θα πρέπει να είναι συνεχής. Στην περίπτωση αυτή συνιστώνται τρεις επεμβάσεις πρόληψης της προσβολής με κατάλληλα και εγκεκριμένα μυκητοκτόνα:

1) όταν τα μάτια έχουν εκπτυχθεί σε μήκος περίπου 1,5 εκ.,

2) στο στάδιο της ρόδινης κορυφής και

3) αμέσως μετά την πτώση των πετάλων. Επισημαίνεται ότι η καταπολέμηση του ωιδίου είναι δυνατό να συνδυαστεί με εκείνη του φουζικλαδίου (εφαρμογή σκευάσματος που καταπολεμεί και τις δύο ασθένειες).

4 Συμπτώματα ωιδίου σε νεαρή βλάστηση (ροζέτες) μηλιάς.

ΜΟΝΙΛΙΑ (ΦΑΙΑ ΣΗΨΗ)

Είναι μυκητολογική ασθένεια μεγάλης οικονομικής σημασίας για τα μηλοειδή. Το παθογόνο προσβάλει τα άνθη και μέσω αυτών τους κλαδίσκους, τα φύλλα και τους κλάδους (έλκη). Επίσης, προσβάλει τους καρπούς σε όλα τα στάδια ανάπτυξής τους, προκαλώντας σήψεις, ακόμη και μετασυλλεκτικά. Τα μολύσματα του μύκητα (κονίδια) μεταφέρονται σε μεγάλες αποστάσεις και με βροχερό και υγρό καιρό προκαλούν ταχύτατα μολύνσεις. Σε οπωρώνες με ιστορικό προσβολής από την ασθένεια συνιστάται η εφαρμογή τριών ψεκασμών με ένα κατάλληλο και εγκεκριμένο μυκητοκτόνο:

1) όταν τα μάτια έχουν εκπτυχθεί σε μήκος περίπου 1,5 εκ.,

2) στο στάδιο της ρόδινης / λευκής κορυφής και

3) στην πλήρη άνθηση.

Σε περίπτωση που μετά την άνθηση ο καιρός εξακολουθεί να είναι βροχερός και υγρός, συνιστάται η συνέχιση της προστασίας της νεαρής βλάστησης. Επισημαίνεται, ότι η καταπολέμηση της ασθένειας είναι δυνατό να συνδυαστεί με εκείνη για τα φουζικλάδια. Προσβολή μονίλιας σε κλαδίσκους μηλιάς.

ΒΑΚΤΗΡΙΑΚΟ ΚΑΨΙΜΟ

Αποτελεί μια από τις πιο καταστροφικές ασθένειες των μηλοειδών (αχλαδιά, μηλιά, κυδωνιά). Το παθογόνο βακτήριο διατηρείται μέσα στα βακτηριακά έλκη στα προσβεβλημένα δένδρα και διασπείρεται 5 μέσα από αυτά την άνοιξη, κυρίως με τη βροχή και τα έντομα. Αρχικώς, ως πλέον ευαίσθητα προσβάλλονται τα άνθη και κατόπιν η τρυφερή βλάστηση. Επιδημική εμφάνιση της ασθένειας ευνοείται από μέτριες θερμοκρασίες και βροχερό ή υγρό καιρό κατά την περίοδο της άνθησης. Για τον περιορισμό της διάδοσης της ασθένειας από τα βακτηριακά έλκη, συνιστώνται ψεκασμοί με κατάλληλα και εγκεκριμένα χαλκούχα σκευάσματα:

1) όταν τα μάτια έχουν εκπτυχθεί σε μήκος περίπου 1,5 εκ. και

2) στο στάδιο της ρόδινης / λευκής κορυφής. Ενθαρρύνεται η χρήση των μικροβιακών σκευασμάτων Bacillus amyloliquefaciens QST 713, καθώς και των Aureobasidium pullulans strain DSM 14940, και strain DSM 14941, κατά την ευαίσθητη περίοδο της ανθοφορίας. Οι ψεκασμοί για το βακτηριακό κάψιμο είναι δυνατό να συνδυαστούν με αυτούς για τα φουζικλάδια.

ΕΧΘΡΟΙ

ΨΥΛΛΑ ΑΧΛΑΔΙΑΣ

Σε οπωρώνες αχλαδιάς που παρατηρούνται υψηλοί πληθυσμοί χειμερινών ακμαίων της ψύλλας, αλλά και σε όσους δεν πραγματοποιήθηκε ψεκασμός κατά την περίοδο του ληθάργου και διαθέτουν ιστορικό προσβολής από το έντομο, συστήνεται ένας ψεκασμός στο διάστημα μεταξύ των σταδίων πράσινης και λευκής κορυφής και ένας ψεκασμός κατά την πτώση των πετάλων, με κατάλληλα και εγκεκριμένα εντομοκτόνα. Για την αποφυγή δημιουργίας ανθεκτικών πληθυσμών του εντόμου, είναι σημαντικό να γίνεται εναλλαγή εντομοκτόνων από διαφορετικές χημικές κατηγορίες. Ιδιαίτερα τα νεότερα εντομοκτόνα, καλό είναι να μην εφαρμόζονται πάνω από δύο φορές σε κάθε καλλιεργητική περίοδο.  Προσβολή ψύλλας σε τρυφερή βλάστηση αχλαδιάς.

ΟΠΛΟΚΑΜΠΗ ΑΧΛΑΔΙΑΣ

Το έντομο ωοτοκεί στον κάλυκα των ανθέων και οι εκκολαπτόμενες προνύμφες ορύσσουν στοές στους αναπτυσσόμενους καρπούς, οι οποίοι πολύ σύντομα μαυρίζουν και πέφτουν. Ορισμένες χρονιές οι ζημιές που προκαλούνται από το έντομο είναι σημαντικές. Συνιστάται η διενέργεια ενός ψεκασμού με κατάλληλο και εγκεκριμένο εντομοκτόνο αμέσως μετά την άνθηση, μόνο σε οπωρώνες που παρουσίασαν προσβολή από το έντομο την προηγούμενη καλλιεργητική περίοδο. Προσβολή νεαρών αχλαδιών από προνύμφες οπλοκάμπης.

ΚΗΚΙΔΟΜΥΓΑ ΜΙΚΡΩΝ ΑΧΛΑΔΙΩΝ

Οι προνύμφες του εντόμου δραστηριοποιούνται στο εσωτερικό των νεαρών καρπών και προκαλούν παραμορφώσεις. Οι καρποί στη συνέχεια μαυρίζουν και πέφτουν. Συνιστάται η διενέργεια ενός ψεκασμού με κατάλληλο και εγκεκριμένο εντομοκτόνο πριν την άνθηση και όταν τα κλειστά άνθη είναι διογκωμένα αλλά μόνο σε οπωρώνες που παρουσίασαν σοβαρή προσβολή από το έντομο την προηγούμενη καλλιεργητική περίοδο.

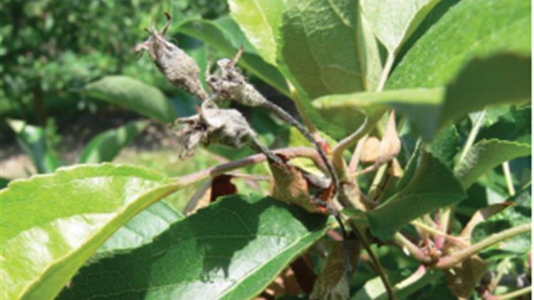
ΑΝΘΟΝΟΜΟΣ ΜΗΛΙΑΣ

Το έντομο γεννά τα αυγά του μέσα στα κλειστά άνθη της μηλιάς. Οι προνύμφες καταστρέφουν τα αναπαραγωγικά όργανα, με αποτέλεσμα τα άνθη να παραμένουν κλειστά και να ξεραίνονται.  Συνιστάται ένας ψεκασμός με κατάλληλο και εγκεκριμένο εντομοκτόνο στο διάστημα μεταξύ πράσινης κορυφής και έναρξης της άνθησης, μόνο σε οπωρώνες που την προηγούμενη καλλιεργητική περίοδο παρατηρήθηκε σοβαρή προσβολή από το έντομο Προσβολή ανθέων μηλιάς από προνύμφες ανθονόμου.

ΠΡΟΣΟΧΗ: Να αποφεύγονται ψεκασμοί με μελισσοτοξικά φυτοπροστατευτικά προϊόντα κατά τη διάρκεια της άνθησης και όπου αυτό είναι αναγκαίο να γίνονται κατά τις απογευματινές ώρες. Σε κάθε περίπτωση να τηρούνται αυστηρά οι οδηγίες χρήσης των φυτοπροστατευτικών προϊόντων για την αναλογία χρήσης, την συνδυαστικότητα, τον κίνδυνο φυτοτοξικότητας, το διάστημα μεταξύ τελευταίας επέμβασης και συγκομιδής και τα μέτρα προστασίας για την αποφυγή δηλητηρίασης

Ακολουθήστε το Agrocapital.gr στο Google News και μάθετε πρώτοι τις ειδήσεις