ΚΑΛΛΙΕΡΓΕΙΕΣ
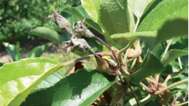
Καρπόκαψα σε μηλιές και αχλαδιές
Για να προστατεύσετε τους καρπούς σας, συνιστάται να προχωρήσετε σε άμεση αντιμετώπιση του εντόμου.